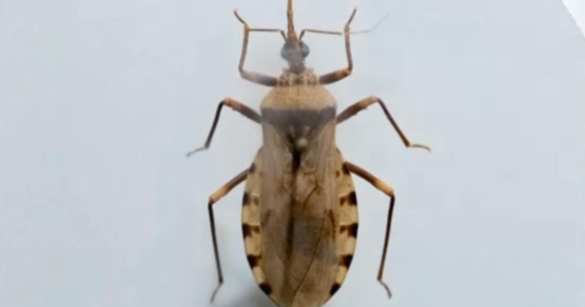
Potentially deadly Chagas disease from "kissing bugs" seemingly spreading across U.S.

Neutral 0.0
Chagas disease, caused by a parasite inside of "kissing bugs," could become more widespread in the U.S., with more cases popping up in the Midwest and Southwest, according to the CDC.
Read Source Login to use Pulse AI

Pulse AI Analysis

Pulse analysis not available yet. Click "Get Pulse" above.

This analysis was generated using Pulse AI, Glideslope's proprietary AI engine designed to interpret market sentiment and economic signals. Results are for informational purposes only and do not constitute financial advice.